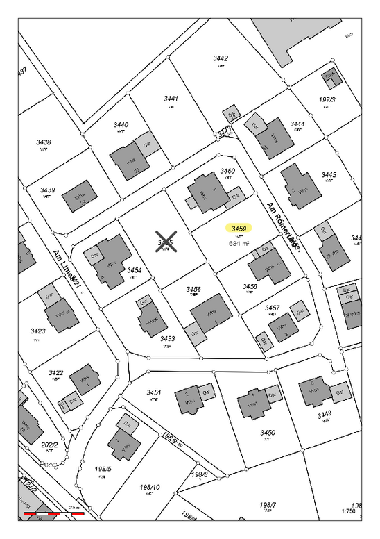
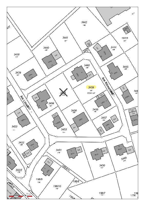
BG "Burggewann I" Schloßau
Der Verkaufspreis für die gemeindeeigenen Bauplätze beträgt 70 €/qm einschließlich der Erschließungs- und Anliegerbeiträge. Hinzu kommen die Kosten für den Hauskontrollschacht in Höhe von 2.300€.
Die Plätze werden mit einer Bauverpflichtung für ein Wohnhaus mit mind. 100 qm Wohnfläche verkauft. Mit den Bauarbeiten muss innerhalb von 2 Jahren ab Kaufvertrag begonnen werden.
Beigefügt sehen Sie den Lageplan des Baugebietes. Die gemeindeeigenen Bauplätze sind gelb markiert. Die aktuelle Verfügbarkeit erhalten Sie auf Anfrage.
Ansprechpartnerin für Bauplatzinteressenten ist Frau Ayleen Hoffmann Tel. 06284/78-59.
Für Ihr Interesse verwenden Sie bitte das Bewerbung Bauplatz Gemeinde Mudau.
